Öffentliche Auslegung des Entwurfs des Bebauungsplans mit Satzung über örtliche Bauvorschriften „Gärtlesäcker 1. Teiländerung“ (39-06-01), Stadtteil Echterdingen
I. Beschlussgrundlage
Der Gemeinderat der Stadt Leinfelden-Echterdingen hat in seiner öffentlichen Sitzung am 21.10.2025 den Entwurf des Bebauungsplans mit Satzung über örtliche Bauvorschriften „Gärtlesäcker 1. Teiländerung“ (39-06-01), Stadtteil Echterdingen, gebilligt und dessen öffentliche Auslegung gemäß § 3 Abs. 2 BauGB beschlossen.
Der Bebauungsplan „Gärtlesäcker 1. Teiländerung“ (39-06-01) wird im beschleunigten Verfahren nach § 13a BauGB Bebauungsplan der Innenentwicklung aufgestellt. Im beschleunigten Verfahren wird von der Umweltprüfung nach § 2 Abs. 4 BauGB, von dem Umweltbericht nach § 2a BauGB, von der Angabe über verfügbare umweltbezogene Informationen nach § 3 Abs. 2 Satz 1 BauGB, von der zusammenfassenden Erklärung nach § 6a Abs. 1 und § 10a Abs. 1 BauGB sowie von der Überwachung der Umweltauswirkungen (Monitoring) nach § 4c BauGB abgesehen. Da es sich um einen kleingebietlichen Bebauungsplan i.S.d. § 13a Abs. 1 Satz 2 Nr. 1 BauGB handelt, gelten die Eingriffe i.S.d. § 1a Abs. 3 Satz 6 BauGB als erfolgt oder zulässig. Eine Eingriff-Ausgleichsregelung ist deshalb nicht erforderlich. Relevante umweltbezogene Belange sind jedoch weiterhin zu ermitteln, zu bewerten und mit dem ihnen zukommenden Gewicht in die städtebauliche Gesamtabwägung einzustellen.
Maßgebend ist der Entwurf des Bebauungsplans mit Satzung über örtliche Bauvorschriften vom 10.09.2025. Es gilt die Begründung vom 10.09.2025.
II. Geltungsbereich
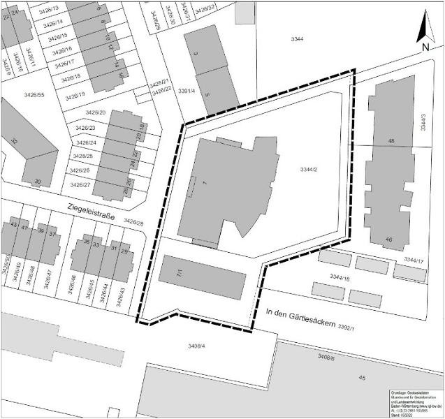
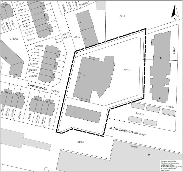
Der räumliche Geltungsbereich des Bebauungsplanentwurfs mit örtlichen Bauvorschriften ist im folgendem Lageplanausschnitt dargestellt:
III. Erfordernis und Zielsetzung der Planung
Im Jahr 2017 wurde vom Gemeinderat beschlossen, die Interimseinrichtung der Kindertagesstätte „Gärtlesäcker“ aufgrund der damaligen Prognose für Kindergartenkinder/ Kleinkinder 2017/2018 über die zunächst vereinbarte Betriebszeit weiter zu nutzen.
Die Interims-Containeranlage ist insgesamt auf eine gute Resonanz gestoßen und funktioniert auch im betrieblichen Ablauf sehr gut. Die zentrale Lage ist für die Nutzung ideal. Den Kindern und Eltern ist die Umgebung seit Jahren bekannt und auch die Gewöhnungsphase ist bereits erfolgt. Es besteht eine Verbundenheit. Zudem spricht für den zentral gelegenen Standort die gute Verkehrsanbindung mit privaten und öffentlichen Verkehrsmitteln und auch die fußläufig gute Erreichbarkeit.
Der Bedarf an Kinderbetreuungsplätzen in Echterdingen ist im Jahr 2025 weiterhin aktuell, sodass der Standort nun von einer temporären Nutzung in einen dauerhaften Standort überführt und planungsrechtlich gesichert werden soll. Hintergrund ist somit der anhaltende Bedarf an Kinderbetreuungsplätzen in Echterdingen und die gesetzliche Vorgabe an die Kommunen, entsprechende Einrichtungen bereitzustellen.
Vor dem Hintergrund des akuten Wohnraummangels und mit dem übergeordneten Ziel eines schonenden Umgangs mit Grund und Boden ist zudem geplant Wohnnutzungen in zusätzlichen Obergeschossen planungsrechtlich zu sichern, auch wenn aktuell keine konkreten Überlegungen hinsichtlich einer Kombination aus Kindertagesstätte und Wohnen an dem Standort bestehen. Langfristig wäre eine ergänzende Wohnnutzung auch als Wohnraum für Erzieherinnen und Erzieher und andere städtische Angestellte denkbar, womit die Attraktivität der Stadt Leinfelden-Echterdingen als Arbeitgeber gesteigert werden könnte.
Der Verlust, der im aktuell rechtskräftigen Bebauungsplan auf dem Standort festgesetzten Grünfläche ist aus städtebaulicher Sicht vertretbar, da sich nördlich in unmittelbarer Umgebung des Gebiets weitere Grünflächen befinden, die im städtischen Eigentum sind und es sich bei der überplanten Fläche um Verkehrsgrün handelt.
Das Plangebiet umfasst eine Fläche von ca. 3.416 m² (ca. 0,34 ha).
- Übersichtsbegehung Artenschutz zum Bebauungsplan „Gärtlesäcker, 1. Teiländerung“, werkgruppe gruen (Juli 2023)
 - Verkehrliche Stellungnahme des Amtes für Stadtgrün, Umwelt und Verkehrsinfrastruktur (Juni 2025)
 - Ermittlung und Beurteilung der schalltechnischen Auswirkungen auf und durch das Bebauungsplangebiet „Gärtlesäcker 1. Teiländerung“ in Leinfelden-Echterdingen (September 2025)
 
IV. Organisatorische Hinweise
Der Entwurf des Bebauungsplanes und der Satzung der örtlichen Bauvorschriften, der Entwurf der Begründung sowie die wesentlichen, bereits vorliegenden umweltbezogenen Stellungnahmen liegen vom
Montag, den 03. November 2025 bis einschließlich Freitag, den 05. Dezember 2025- je einschließlich-
öffentlich aus.
Die Unterlagen werden auf der Internetseite der Stadt Leinfelden-Echterdingen unter der Rubrik „Stadtentwicklung – Bebauungsplanung – Beteiligung der Öffentlichkeit“ bereitgestellt. Zusätzlich finden Sie die Unterlagen zur allgemeinen Einsichtnahme ebenfalls im Rathaus Echterdingen, Bernhäuser Straße 11 im Planungsamt 1. OG (Zugang zum Aufzug im rückwertigen Bereich des Rathauses) vor. Gelegenheit zur Äußerung und zur Erörterung des Plans besteht zu folgenden Dienstzeiten: Montag bis Freitag von 08:00 Uhr bis 12:00 Uhr. Zusätzlich montags, dienstags und donnerstags von 14:00 Uhr bis 16:00 Uhr. Mittwoch von 14:00 Uhr bis 18:00 Uhr. Erklärungen zur Niederschrift können beim zuständigen Sachbearbeiter/-in abgegeben werden.
V. Verfahrensrechtliche Hinweise
Während der Auslegungsfrist können von der Öffentlichkeit (hierzu zählen auch Kinder und Jugendliche) Stellungnahmen schriftlich oder zur Niederschrift vorgebracht werden. Nicht fristgemäß abgegebene Stellungnahmen können bei der Beschlussfassung über den Bebauungsplan unberücksichtigt bleiben. Die fristgemäß abgegebenen Stellungnahmen werden von der Stadt nach Abschluss der öffentlichen Auslegung geprüft und anschließend das Ergebnis mitgeteilt. Haben mehr als 50 Personen Stellungnahmen mit im Wesentlichen gleichen Inhalt abgegeben, kann die Mitteilung dadurch ersetzt werden, dass diesen Personen nach Bekanntmachung im Amtsblatt der Stadt Leinfelden-Echterdingen die Einsicht in das Ergebnis der Prüfung ermöglicht wird. Es wird darauf hingewiesen, dass zur Bearbeitung des Anliegens die Stellungnahmen von Bürger/-innen personenbezogene Daten wie Vor- und Familiennamen sowie die Anschrift gespeichert werden. Zum nächsten Verfahrensschritt werden die vorgebrachten Informationen bzw. Stellungnahmen dem Gemeinderat anonymisiert zur Entscheidung vorgelegt.


