Beschluss zur Aufstellung eines Bebauungsplans mit Satzung über örtliche Bauvorschriften „Stuttgarter Straße/ Feuerwehr Leinfelden“ (19-09) im Stadtteil Leinfelden und frühzeitige Beteiligung der Öffentlichkeit
I. Beschlussgrundlage
Der Gemeinderat hat in seiner öffentlichen Sitzung am 29.07.2025 gemäß § 2 Abs. 1 Baugesetzbuch (BauGB) beschlossen, für das Gebiet „Stuttgarter Straße/ Feuerwehr Leinfelden“ (19-09) im Stadtteil Leinfelden einen Bebauungsplan mit Satzung über örtliche Bauvorschriften gemäß § 74 LBO im Sinne von § 30 Abs. 1 BauGB aufzustellen und die frühzeitige Beteiligung der Öffentlichkeit nach § 3 Abs. 1 BauGB durchzuführen.
II. Geltungsbereich
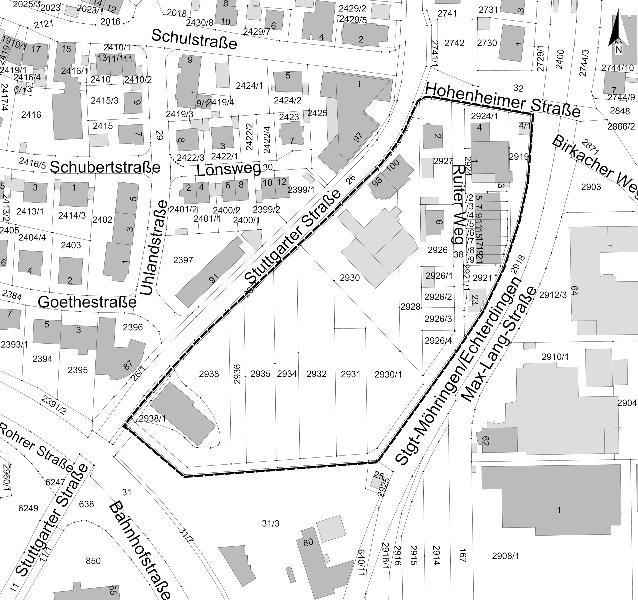
Maßgebend ist der Lageplan zum Aufstellungsbeschluss / Vorentwurf des Bebauungsplans mit Satzung über örtliche Bauvorschriften vom 03.06.2025. Der Geltungsbereich ist im folgenden Lageplanausschnitt dargestellt:
III. Ziele und Zwecke der Planung
Mit der Aufstellung des Bebauungsplans sollen die planungsrechtlichen Grundlagen für den Neubau des Gerätehauses der Feuerwehrabteilung Leinfelden auf einem Grundstück an der Stuttgarter Straße geschaffen werden. Der Neubau soll das bestehende Gerätehaus im Ortskern von Leinfelden dauerhaft ersetzen. Das Grundstück an der Stuttgarter Straße ist von der Lage, Erreichbarkeit und Zuschnitt grundsätzlich für den Neubau des Feuerwehrgerätehauses geeignet. Die geplante Erweiterung des Autohauses am Standort an der Stuttgarter Straße soll ebenso ermöglicht werden. Zwischen der geplanten Feuerwehr und dem Gewerbegrundstück wird der Erschließungsweg für den bestehenden Biergarten errichtet. Für die Wohnbebauung am Ruiter Weg soll ebenfalls verbindliches Planrecht geschaffen werden. Zur Umsetzung der Planungsziele ist die Aufstellung des Bebauungsplanes „Stuttgarter Straße/ Feuerwehr“ (19-09) erforderlich. Der Geltungsbereich des Bebauungsplans umfasst eine Fläche von ca. 1,78 ha.
IV. Frühzeitige Beteiligung der Öffentlichkeit – Organisatorische Hinweise
Gemäß § 3 Abs.1 BauGB ist für dieses Bebauungsplanverfahren eine Offenlage der Unterlagen angeordnet. Die Veröffentlichung der Unterlagen im Internet erfolgt daher in der Zeit von
Montag, den 11.08.2025 bis Freitag, den 26.09.2025– je einschließlich
eine Veröffentlichung der Unterlagen auf der Internetseite der Stadt Leinfelden- Echterdingen unter der Rubrik „Stadtentwicklung – Bebauungsplanung – Beteiligung der Öffentlichkeit“.
Zusätzlich werden die Planunterlagen (Lageplan zum Aufstellungsbeschluss, Vorentwurf des Bebauungsplans, der Vorentwurf der Begründung, Spezielle artenschutzrechtliche Prüfung, Endbericht der Fledermausuntersuchung, Artenschutzrechtliche Relevanzprüfung) in diesem Zeitraum (Montag, 11.08.2025 bis Freitag, 26.09.2025) bei der Stadt Leinfelden-Echterdingen im Rathaus Echterdingen, Planungsamt, Bernhäuser Straße 11, 1. Stock (Zugang zum Aufzug im rückwärtigen Bereich des Rathauses) zur allgemeinen Einsichtnahme öffentlich ausliegen.
Gelegenheit zur Äußerung und zur Erörterung des Plans besteht zu folgenden Dienstzeiten: Montag bis Freitag von 8:00 Uhr bis 12:00 Uhr, zusätzlich montags, dienstags und donnerstags von 14:00 Uhr bis 16:00 Uhr sowie mittwochs von 14:00 Uhr bis 18:00 Uhr.
Bürgerinformationsveranstaltung
Am Montag, 15.09.2025 findet in der Filderhalle (Studio II), Bahnhofstraße 61 in Leinfelden, von 18:00 Uhr bis 20:00 Uhr eine Bürgerinformationsveranstaltung zur Erläuterung der Planungen statt.
V. Verfahrensrechtliche Hinweise
Während der Auslegungsfrist können von der Öffentlichkeit (hierzu zählen auch Kinder und Jugendliche) Stellungnahmen schriftlich (auch per E-Mail an planungsamt@le-mail.de) oder zur Niederschrift vorgebracht werden. Nicht fristgemäß abgegebene Stellungnahmen können bei der Beschlussfassung über den Bebauungsplan mit Satzung über örtliche Bauvorschriften unberücksichtigt bleiben. Die zur öffentlichen Auslegung fristgemäß abgegebenen Stellungnahmen werden von der Gemeinde nach Abschluss der öffentlichen Auslegung geprüft und anschließend das Ergebnis mitgeteilt.
Haben mehr als 50 Personen Stellungnahmen mit im Wesentlichen gleichem Inhalt abgegeben, kann die Mitteilung dadurch ersetzt werden, dass diesen Personen nach Bekanntmachung im Amtsblatt der Stadt Leinfelden-Echterdingen die Einsicht in das Ergebnis der Prüfung ermöglicht wird.
Es wird darauf hingewiesen, dass zur Bearbeitung des Anliegens bei Stellungnahmen von Bürgerinnen und Bürgern personenbezogene Daten wie Vor- und Familiennamen gespeichert werden. Zum nächsten Verfahrensschritt werden die vorgebrachten Informationen dem Gemeinderat anonymisiert zur Entscheidungsfindung vorgelegt.
Anlagen
- Sitzungsvorlage (PDF, 88,7 KB)
- Lageplan zum Aufstellungsbeschluss (PDF, 848,3 KB)
- Bebauungsplanvorentwurf (PDF, 1,4 MB)
- Vorentwurf Textteil (PDF, 174,3 KB)
- Vorentwurf Begründung (PDF, 3,8 MB)
- Spezielle artenschutzrechtliche Prüfung (PDF, 8,9 MB)
- Endbericht der Fledermausuntersuchung (PDF, 2,5 MB)
- Artenschutzrechtliche Relevanzprüfung (PDF, 8,9 MB)


